Neighbors are raising concerns about a proposal for a large mixed-use development on Lake Davidson in Mooresville, near the existing Davidson Pointe neighborhood. The plan by developer Hinckley Gauvain requires a rezoning, which is on the agenda at the Mooresville Planning Board Thursday, May 11, at 6pm.
Hinckley Gauvain has been working on the project since at least last year. A traffic study was completed last November, and the developers filed a rezoning application in March.

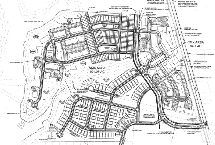
HOMES, OFFICES AND SHOPS
Hinckley Gauvain is proposing to develop the land in several phases, with completion by 2026, according to a description in the traffic analysis. It would include 115 single-family homes, 300 residential condos, 120 townhomes, and 300 apartments. Also planned are 65,000 square feet of offices and 65,000 square feet of shops.
The current “R3” zoning would allow about half the number of homes, and no commercial development.
Neighbors told me they only learned about the project in April, in letters that went out to owners of about two dozen adjacent properties. Others have been learning about it through word of mouth.

The Lake Davidson Development is proposed for 167 acres off NC 115 and Bridges Farm Road, north of Davidson. It’s in Iredell County, in Mooresville’s extraterritorial jurisdiction, or ETJ. That’s an area where Mooresville controls land-use and planning.
BIG CHANGES IF IT HAPPENS
The project would be a big change for the area, which is currently undeveloped farm fields. The nearby Davidson Pointe and Estate on Lake Davidson neighborhoods total about 180 homes. Residents of the two neighborhoods held a meeting this week to talk about the plan.
The Lowe’s Corp. headquarters and other big employers are nearby, and the area has been expected to develop eventually. Still, this plan is making some neighbors unhappy.
They’re concerned about traffic as well as the project’s environmental impact. And In an email, neighbor Arielle Emmett said, “The environmental implications are major and possibly disastrous.”
In an interview with The Charlotte Observer, neighbor Leslie Quatrini said: “It just seems like a lovely place, and we would like to see it stay that way.”
The traffic study acknowledges future problems with traffic if the project is built. The study recommends new turn lanes off NC 115, but says those “should not be the sole responsibility of the developer.”
It also acknowledges that a second lane would be needed through the area on NC 115. But, it says, “The addition of a second through-lane along NC 115 would need to be a corridor-wide improvement with far reaching impacts and is not considered a reasonable improvement as a result of this development.”
The study also recommends a traffic signal at Bridges Farm Road and NC 115.
WANT TO GO?
Mooresville’s planning board meets Thursday, May 11, at 6pm at Town Hall, 413 North Main Street.
RELATED LINKS
November 2016, Draft traffic analysis by RS&H for the project, 112016 Traffic Analysis
Jan. 9, 2017, Site plan for the Lake Davidson development
March 28, 2017, Hinckley Gauvain rezoning application for the Lake Davidson Development (PDF)
May 11, 2017, Planning board meeting agenda
May 11, 2017, Charlotte Observer, “They moved to the lake for peace … then heard of plans that could change everything”